Спеціальні потреби

Остання місія «Королеви небес» проти урагану «Ірма»


Поважний за віком повітряний флот далекомагістральних авіалайнерів Jumbo Jet Boeing 747 компанії Delta закінчує строк служби, пише Business Insider.

Однак, перед цим, Delta надсилає «Королеву небес» на фінальну місію – допомогти евакуювати людей зі штату Флорида перед ураганом «Ірма», - повідомляє видання.

В п’ятницю, один з семи Boeing 747 компанії здійснить переліт з Орландо до Детройту - бази авіакомпанії Delta. Літак може перевезти 376 пасажирів, що допоможе зменшити навантаження на аеропорти Флориди.

Як правило, Delta використовує такі літаки для трансатлантичних перельотів.

Цей переліт не буде безкоштовним, однак Delta встановила верхнє обмеження на ціну квитка в 399 доларів, повідомляє видання.

Читайте більше про ураган: Ураган «Ірма» просувається у напрямку американського штату Флорида

Декілька днів тому Delta вивезла повний літак пасажирів з Пуерто-Ріко якраз перед початком урагану, зазначається в статті.

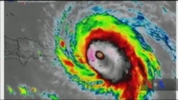
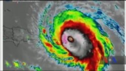
Ураган «Ірма» приніс руйнування на Карибські острови.

Дивіться також: Ураган-монстр «Ірма», який забрав життя 10 людей на Карибах, наближається до США

Ураган-монстр «Ірма», який забрав життя 10 людей на Карибах, наближається до США. Відео
please wait

No media source currently available

0:00 0:02:56 0:00

  • 16x9 Image

    Голос Америки

    Голос Америки (VOA) надає новини та інформацію більш ніж 40 мовами. VOA, за оцінками, охоплює аудиторію у понад 326 мільйонів людей щотижня. Статті авторства Голос Америки є результатом роботи декількох журналістів і можуть містити інформацію новинних агенцій.

Recommended

  • Підписуйтеся на Голос Америки Українською в Telegram

    Підписуйтеся на Голос Америки Українською в Telegram

XS
SM
MD
LG